INITIAL STUDY
ENVIRONMENTAL CHECKLIST

 

 

1.

Project Title:

PG&E Corona Substation (Application Number: A 97-10-037)

2.

Lead Agency Name and Address:

California Public Utilities Commission

505 Van Ness Avenue, Fourth Floor

San Francisco, CA 94102-3298

3.

Contact Person and Phone Number:

John Boccio

(415) 703-2641

4.

Project Location:

City of Petaluma (see Figure 1)

5.

Project Sponsor’s Name and Address:

Pacific Gas and Electric Company

P.O. Box 7442

San Francisco, CA 94120

6.

General Plan Designation:

Public and Institutional

7.

Zoning:

Light Industrial

8.

Description of Project:

 

Purpose and Need

Pacific Gas and Electric Company (PG&E) is proposing to build a 115 kV substation, referred to as the Corona Substation and associated power tap line, in Petaluma, California. Petaluma is in southern Sonoma County. The purpose of the substation is to reduce the voltage of electricity carried on the 115 kV Lakeville-Santa Rosa Power Line to 12 kV in order to supply the local electricity distribution system that delivers power to users nearby. PG&E has stated that the proposed substation is required to meet the electrical load growth occurring in the Petaluma area, and to ensure that PG&E can adequately and reliably supply the area's future demand for electrical energy.

PG&E provides electrical power services in the area of Sonoma County, encompassing the City of Petaluma, the community of Penngrove, and unincorporated areas to the west. To provide power to these areas, PG&E currently operates three substations, referred to as Petaluma A, Petaluma C, and Lakeville Substations.

In the last few years, PG&E has recorded a steady increase in demand for electricity in this area. Growth in electricity demand tends to follow growth in economic activity. The Petaluma area has been experiencing the economic growth characteristic of many Bay Area communities, caused by the recent growth in the northern California economy. While growth in the Petaluma area has been due primarily to increased population and housing, there has also been increased commercial and industrial growth in the northern portion of Petaluma as a result of greater economic activity within the City. This trend is forecasted to continue, although at a lower rate than experienced in the late 1980s (PG&E, 1997).

PG&E has stated that the expected electrical load growth is the sole reason for installation of the Corona Substation. Currently, PG&E has been able to supply electric power by load transfers from PG&E’s Petaluma A, Petaluma C, Lakeville, and Cotati Substations. PG&E projects that its ability to provide load transfers from those substations to accommodate the expected growth in the northern portion of Petaluma will be exhausted by the summer of 1998 (PG&E, 1997).

Project Description

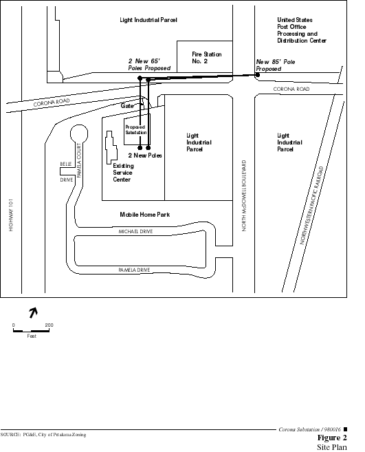
Location. PG&E’s proposed Corona Substation project would be located within its existing Petaluma Service Center at 210 Corona Road in the City of Petaluma. The Service Center occupies 3.87 acres, and the proposed substation would occupy 0.55 acres of that site (see Figure 1). The proposed substation area is located in the existing flat and paved area near the center of the Service Center.

The general site vicinity is defined to the north by Corona Road, to the east by North McDowell Road, to the west by Highway 101, and to the south by Michael Drive. Surrounding immediately adjacent land uses to the Service Center include the Youngstown Mobile Home Park to the south and west sides of the Service Center, the Park’s storage area for recreational vehicles to the north side, and a light industrial parcel with residential, commercial, and industrial uses to the east side (see Figure 1). The Service Center fronts on the south side of Corona Road, although it is set back 60 feet from the road. The north side of the road is vacant land, undergoing development as a light industrial use. The only access to the Service Center is from Corona Road.

Routine activities and facilities at the Service Center include a customer payment center, vehicle maintenance facility, employee offices, warehouse for gas and electric equipment, and vehicle and construction equipment yard. The Service Center also is a staging and storage area for equipment and supplies during normal and emergency operating conditions. A chain link fence with redwood slats surrounds the Service Center.

Proposed Facilities. The project consists of four elements: (A) a proposed substation within the Service Center site; (B) a 115 kV connector power line; (C) eight underground distribution lines; and (D) perimeter fencing and landscaping improvements and landscaping along Corona Road (PG&E, 1997, 1998a, 1998b).

(A) Substation. The proposed substation at full build out (see Figure 2) is planned to be a remote-controlled, two transformer bank, low profile facility occupying an area of approximately 0.55 acre in the north-central part of the Service Center. The substation is designed as a "bantam substation," the term to describe a "compact design" in which equipment spacing is compacted to fit within a smaller area than equipment in a conventional substation. The transformation of voltage would be accomplished through the use of transformer banks, breakers, switches, and related electrical equipment.

Two 115/12 kV 30 MegaVolt Ampere (MVA) transformers would be installed at full build-out of the substation. Only one transformer bank would be installed in 1998. Based on current load projections, PG&E anticipates that the second transformer bank would be installed around the year 2002. The schedule for the second transformer bank could be accelerated or delayed depending on the demand for electricity related to future growth in the Petaluma area.

The substation design includes ancillary equipment, a Spill Prevention Containment and Countermeasure (SPCC) pond to collect and contain potential discharges of spilled mineral oil within the equipment, and a gravel-surfaced buffer area (3,500 square feet) surrounding the transformer banks. Two tubular steel clearance poles to support the tap line would be constructed within the Service Center adjacent to the southerly substation fence.

An eight-foot-high chain link fence would be constructed around the perimeter of the site. Lighting fixtures would be installed at the northerly and southerly doors of each of the two metal clad switchgear. The lights would be manually operated and directed downward. A pole-mounted double light fixture located near the southwesterly corner of the proposed substation might be relocated outside the substation fence.

(B) Connector Power Line. The connector loop line would tap into the 115kV Lakeville-Santa Rosa power line at North McDowell Boulevard and carry current to/from the substation. The 115 kV power tap line would trend along the north side of Corona Road (between the road shoulder and the drainage ditch). The looped three-wire circuit would be carried by a tubular steel pole, 60-feet high, located on the north side of Corona Road opposite the substation. The two conductors would extend a total distance of 630 feet along the road, merging to a single 75-foot-high tubular steel pole located at the northeast corner of the intersection of Corona Road and North McDowell Boulevard. The three-way 75-foot tubular steel pole would be constructed adjacent to the existing wood pole supporting both the Lakeville-Santa Rosa 115 kV power line and a distribution circuit. This wood pole would remain. The tubular steel poles would be installed on 36-inch diameter concrete foundations.

The proposed loop configuration from the Lakeville-Santa Rosa power line to the substation would allow electricity to be provided to the substation from either of two different sources of power in the event of a failure of the Lakeville-Santa Rosa power line north or south of the interconnection point with the tap line.

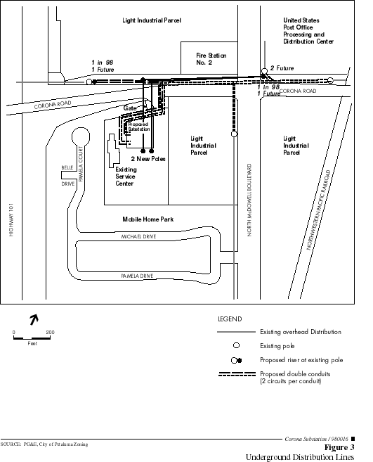
(C) Distribution Lines. The project includes eight 12 kV distribution lines, which would be placed underground. Initially, only two of the distribution lines would be constructed (see Figure 3). Additional underground circuits would be added as electricity demand grows in the future. The distribution lines would be constructed across and then along the north side of Corona Road to both the east and the west, and along the southern edge of Corona Road to the east. Three existing wood pole distribution lines on the north side of Corona Road would be removed when the underground 12 kV lines are constructed. In addition, two existing wood service poles on the south side of Corona Road east of the Service Center would be removed. An existing wooden pole on the north side of Corona Road (northwest of the Service Center) and adjacent to the Highway 101 overpass would be modified, increased in height to serve as a transition between existing overhead and proposed underground distribution lines.

As part of the project, to accommodate the proposed loop tap line, an existing wood-pole-supported distribution line would be removed. The distribution line would be placed underground, as noted above.

(D) Landscaping. PG&E (PG&E 1998b) has proposed a conceptual landscaping plan (see Figure 4) that includes five general elements, as follows:

    1. Evergreen and large canopy trees would be planted around the perimeter of the substation and Service Center. Small flowering trees, shrubs, and groundcover would be planted at the entrance road to the substation and Service Center at Corona Road and in the newly designed employee and customer parking areas.
    2. Redwood trees and riparian species trees would be planted with an ornamental groundcover along the north side of Corona Road extending westerly of the Service Center entrance drive to the Highway 101 overpass and easterly to North McDowell Road. The trees would be limited in height to 15 feet in the eastern section of this landscaped areas because of the proposed overhead 115 kV power line. Riparian tree species and native grasses would be selected to be compatible with the drainage ditch located to the immediate north of the roadway. PG&E would improve the existing drainage ditch to convert it to an urban creek to carry runoff from Corona Road. Upon completion of the landscaping installation, PG&E would dedicate the creek improvements and Corona Road landscaping to the City. PG&E proposes to water the plantings for three years, after which time the species are anticipated to be self-sustaining and require no further watering.
    3. Redwood trees with an understory of native grass would be planted along the southern side of Corona Road westerly of the entrance drive to the Highway 101 right-of-way. Upon completion of the landscaping installation, PG&E would dedicate the landscaping improvements along Corona Road to the City. PG&E proposes to water the plantings for three years, after which time the species are anticipated to be self-sustaining and require no further watering.
    4. Five to seven existing redwoods along the south side of Corona Road (at the north side of the Service Center) would be removed. In addition, several eucalyptus trees along the north side of Corona Road would be removed. Removal of these trees would eliminate the hazards associated with tall trees growing under the proposed alignment of the 115 kV power line. Where trees are removed, they would be replaced with trees that have an appropriate canopy height at maturity, as noted above.
    5. PG&E proposes to construct a six-foot wood fence between the Service Center and the Youngstown Mobile Home Park along properties adjoining the southern and western boundaries of the Service Center. The new fence would replace an existing three-foot deteriorating fence. PG&E also proposes to plant screening vegetation along the proposed perimeter fence (species to be determined). PG&E would construct an irrigation system to irrigate the trees and/or shrubs along the proposed fence. Upon completion of the fence and installation of the landscaping and irrigation system, PG&E would dedicate the installations to the Youngstown Mobile Home Park. Maintenance would be the responsibility of the owners of Youngstown Mobile Home Park.

PG&E proposes to submit the landscaping plan to the City of Petaluma Site Plan and Architectural Review Committee (SPARC) for review and approval. Specific plant species and maintenance conditions would be developed with SPARC’s approval.

Construction. Development of the site for the substation would take four months and involve the following phases:

Phase Development

    1. Site improvements would be undertaken, including removal of paving, regrading, and resurfacing of the proposed 0.55-acre site within the Service Center. Trenching for the underground distribution feeders and other underground facilities, including the ground grid and ducts for substation wiring and telecommunications lines, and construction of the SPCC pond would occur. Foundations would be poured for the electrical substation equipment and for tubular steel poles. The substation fence would be constructed. Trees under the 115 kV connector power line alignment would also be removed.
    2. As the site has already been graded in the past, the current construction would require minor regrading of the surficial soils and resurfacing to establish proper drainage patterns and drainage channels. The transformer pad would be built on approximately one foot of engineered fill to establish proper elevation so that the pond drains correctly in the event of an oil spill. A cut would be required for the SPCC pond (20 feet wide by 25 feet long and 3 1/2 feet deep). Soil excavated from the drainage troughs and minor resurfacing would be used for the transformer pad fill, avoiding the exporting of spoil. Soil and gravel/crushed rock would be imported to create a raised transformer pad and cover the substation equipment yard area. Approximately 550 cubic yards of soil and gravel/crushed rock would be imported. The service road would be constructed with two inches of asphaltic concrete over four inches of rock base material. The standard method of 95 percent compaction would be used for engineering the fill.

    3. Mechanical equipment for the substation would be installed, including installation of the first transformer bank, bus structure, and switchgear. Tubular steel single poles would be installed with replacement of wood poles with tubular steel poles. The existing overhead distribution lines would be put underground at this time. The SPCC pond would be constructed.
    4. Line/substation testing, conversion, and energizing of the substation would occur, including testing and conversion to new lines. Construction clean-up would also occur, and landscaping would be installed. The areas where trees were removed would be replanted with appropriate species and irrigation systems installed.

All construction equipment, vehicles, personnel and staging areas would be accommodated within the fenced portion of the proposed substation site. Access to the substation would be from the existing easement across the neighboring mobile home park property. Construction is scheduled to begin about 30 days after CPUC approval of the Permit to Construct, and would require approximately four months to complete.

Electrical service interruptions to customers in the area not expected by PG&E during the construction of the substation and 115kV connector loop line. Brief interruptions (for up to four hours) for up to about 10 customers will occur for replacement of the pole-supported distribution line with an underground distribution line. Those customers will receive advance notification (48 hours) of the interruption in service.

After completion of Phase 3, the substation would be operational. The substation would be unmanned, with most functions monitored and operated remotely. PG&E substation technicians would inspect the equipment and conduct maintenance for the substation and power lines regularly, generally expected to occur several times a month. Other current activities of the Service Center would continue without change. The project would not require additional staff at the Service Center.

Phase 4 would include the future construction of additional underground distribution lines and the future addition of the second transformer bank.

9.

Surrounding Land Uses and Setting:

The proposed site is bordered by mobile home residences in the Youngstown Mobile Home Park to the south and west, the Park’s parking area for recreational vehicles to the north, and residential, commercial, and industrial uses to the east (see Figure 1).

10.

Other public agencies whose approval is required: (e.g., permits, financing approval, or participation agreement)

Pursuant to State Law, the California Public Utilities Commission (CPUC) is the permitting authority for the project.

A grading permit and encroachment permits for construction in City streets would be secured from the City of Petaluma.

The proposed landscaping plan would receive approval of the SPARC.

Trees planted within Caltrans right of way along Highway 101 would require a permit from Caltrans.

ENVIRONMENTAL FACTORS POTENTIALLY AFFECTED

The environmental factors checked below would be potentially affected by this project, involving at least one impact that is a "Potentially Significant Impact" as indicated by the checklist on the following pages.

 

Land Use and Planning

X

Transportation/Circulation

 

Public Services

 

Population and Housing

 

Biological Resources

 

Utilities and Service Systems

 

Geological Problems

 

Energy and Mineral Resources

X

Aesthetics

X

Water

 

Hazards

 

Cultural Resources

X

Air Quality

X

Noise

 

Recreation

   

Mandatory Findings of Significance

 

DETERMINATION

On the basis of this initial evaluation:

I find that the proposed project COULD NOT have a significant effect on the environment, and a NEGATIVE DECLARATION will be prepared.  
   

I find that although the proposed project could have a significant effect on the environment, there will not be a significant effect in this case because the mitigation measures described on an attached sheet have been added to the project.

 

A NEGATIVE DECLARATION will be prepared.

X

I find that the proposed project MAY have a significant effect on the environment, and an ENVIRONMENTAL IMPACT REPORT is required.

 
   

I find that the proposed project MAY have a significant effect(s) on the environment, but at least one effect 1) has been adequately analyzed in an earlier document pursuant to applicable legal standards, and 2) has been addressed by mitigation measures based on the earlier analysis as described on attached sheets, if the effect is a "potentially significant impact" or "potentially significant unless mitigated." An ENVIRONMENTAL IMPACT REPORT is required, but it must analyze only the effects that remain to be addressed.

 
   

I find that although the proposed project could have a significant effect on the environment, there WILL NOT be a significant effect in this case because all potentially significant effects (a) have been analyzed adequately in an earlier EIR pursuant to applicable standards and (b) have been avoided or mitigated pursuant to that earlier EIR, including revisions or mitigation measures that are imposed upon the proposed project.

 
   

 

 

Natalie Walsh, Program Manager
Analysis Branch
Energy Division
California Public Utilities Commission
Date

 

TOP
Forward to Next Section
(Land Use and Planning)
Back to Corona Substation Main Page PG&E Substation Projects Main Page CPUC Home Page